header

Waldgrundstücke – Verkaufsangebot

Der St. Johannes Zweigverein beabsichtigt, sich von seinen Waldgrundstücken zu trennen.

Hierzu können Angebote bis zum 30.11.2025 abgegeben werden

z.Hd. Hr. Seefried (Vorstand), F.L.Schecher-Str. 11, 97288 Theilheim

oder per Mail:

Diese E-Mail-Adresse ist vor Spambots geschützt! Zur Anzeige muss JavaScript eingeschaltet sein!

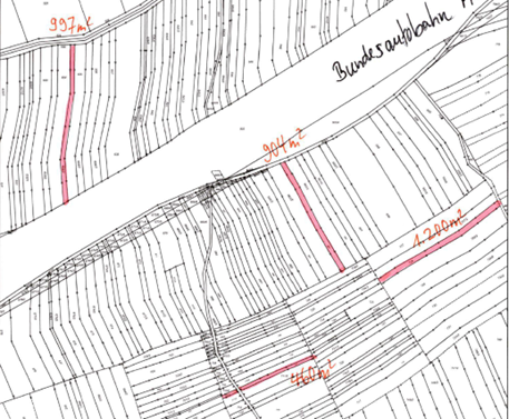
Folgende Grundstücke stehen zum Verkauf:

Flurstück 710-0-634/2           Breitholz          997m2

Flurstück 710-0-663/0           Breitholz          904m2

Flurstück 710-0-711/0           Breitholz          460m2

Flurstück 710-0-728/0           Breitholz          1200m2

 

Lageplan GrundstückeHinweis: da der Verkauf durch verschiedene Gremien zustimmungspflichtig ist, kann noch nicht sicher zugesagt werden, dass es zum Verkauf an einen Bieter kommt.

­